Działki przy ul. Karkonoskiej na sprzedaż - Zwięczyca II -Rzeszów Sprzedaż

Rzeszów
2 203 740 PLN
270 PLN /m2
  • Cena 2 203 740 PLN
  • Powierzchnia 8 162 m2
  • Cena za m2 270 PLN

Opis oferty

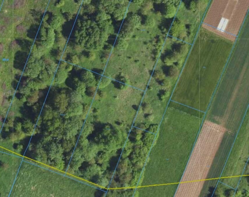
Biuro Nieruchomości HomeSpace prezentuje na sprzedaż działki zlokalizowane przy ul. Karkonoskiej w Rzeszowie, obręb Zwięczyca II.

Szczegóły oferty:
Powierzchnia: 81,62 ar
Klasyfikacja gruntu: RII, LzrRII, RIIIa
Dojazd: bezpośredni dojazd z ul. Karkonoskiej drogą utwardzoną o szerokości 5,00 m, ustanowiona służebność przejazdu.
Media: sieć gazowa przebiega od strony południowej działki, prąd w odległości 50m, pozostałe media do podciągnięcia zgodnie z potrzebami przyszłego nabywcy.
Warunki zabudowy: dotychczas nie złożono wniosku o warunki zabudowy, co daje swobodę w planowaniu inwestycji.
Wymiary działek: długość: 168,04 m szerokość: od 65,34 m do 34,82 m

Cena: 27 000 zł/ar
Łączna wartość: 2 203 740 zł

W przypadku zainteresowania działkami w ofercie sprzedaży istnieje możliwość dokupienia kolejnych 92,43 ar w cenie 27 000 zł / ar.


Dojazd - bliskość drogi ekspresowej S19 zapewnia szybki dostęp do innych regionów Podkarpacia i wschodniej Polski.
Infrastruktura - w okolicy znajdują się sklepy, usługi oraz tereny rekreacyjne, co zwiększa atrakcyjność lokalizacji.
Komunikacja - wygodny dojazd do centrum Rzeszowa zarówno samochodami, jak i transportem publicznym.

Zapraszamy do kontaktu po więcej informacji.
Biuro Nieruchomości HomeSpace


Treść niniejszego ogłoszenia nie stanowi oferty handlowej w rozumieniu Kodeksu Cywilnego. więcej

Informacje

Numer oferty38
Typ transakcjiSprzedaż
Cena2 203 740 PLN
Powierzchnia8 162 m2
Cena za m2270 PLN / m2
Typ działkirolno-budowlana
Szerokość65
Długość168
Typ ogrodzeniabrak
Typ drogiasfaltowa
Prąddo 100m
Wodabrak
Gazjest
Typ Ogrodzeniabrak
Typ Drogiasfaltowa, szutrowa

Wyślij zapytanie